幸栄丸 (茨城県 - 鹿島灘 - 鹿嶋 - 鹿嶋新港) の公式WEB予約「24時間受付・特別割引・ポイント還元」 加盟釣り船数、釣り船予約実績No.1

お気に入り船に登録するには
会員登録またはログインが必要です

お気に入り船に登録すると
予約プラン検索や最新釣果を
お気に入り船のみの表示にすることができます

幸栄丸 (こうえいまる)

茨城県鹿嶋市  鹿嶋旧港 (かしまきゅうこう)
幸栄丸

この船の釣果一覧へ

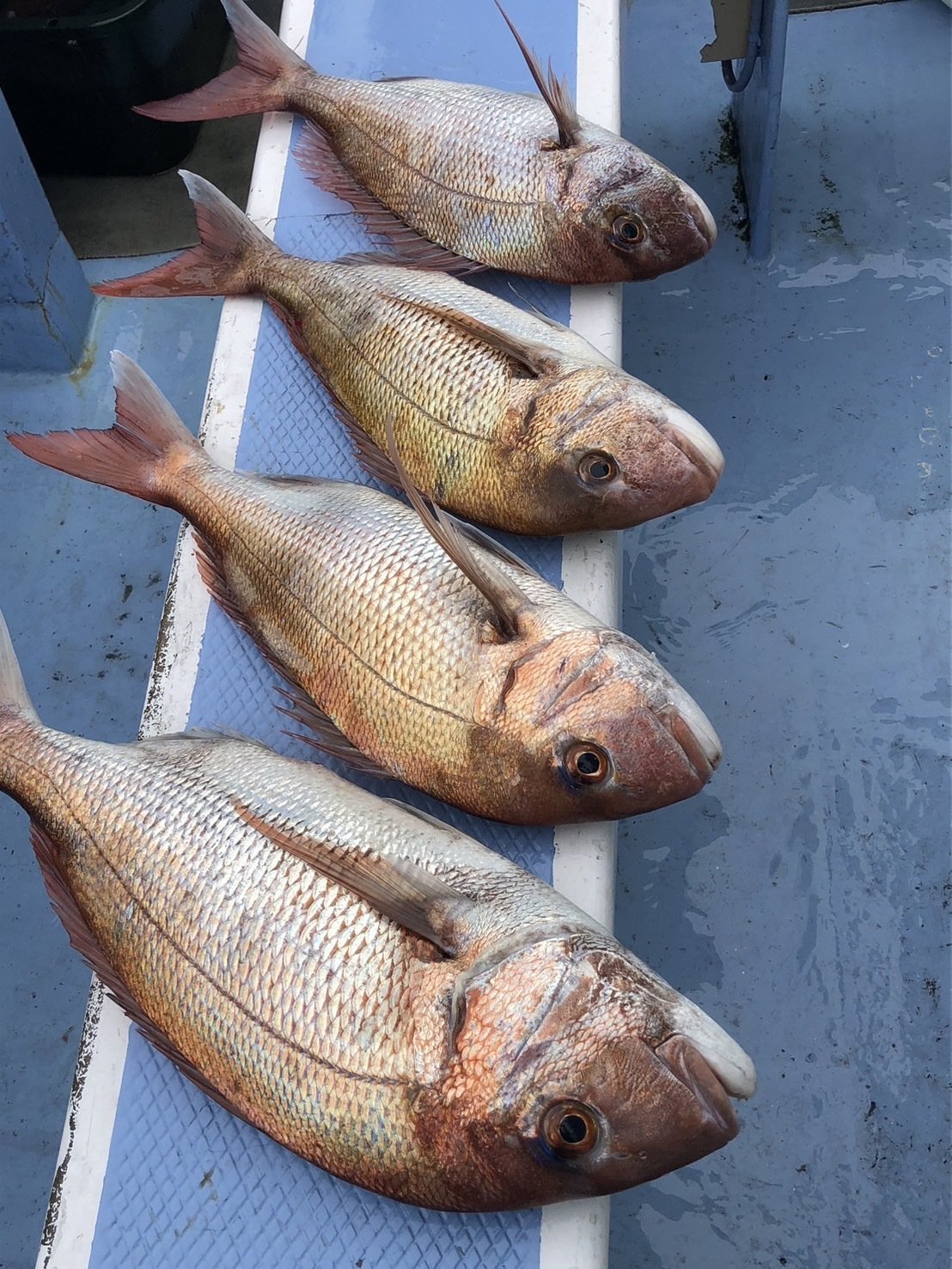
マダイの釣果など2025年10月12日幸栄丸(茨城県/鹿嶋旧港)

  • 中潮

    2025年1012(日)

    マダイ 0.30 - 3.50 kg 0 - 7 匹
    コメント
    『内訳)3.5kg・3.1kg・2.1kg・2.0kg・2.0kg・1.5kg・1.4kg・1.4kg・1.2kg・1.2kg

    朝のうちからウネリあって釣りにくい状態でしたがパターン合ってマダイのアタリとれる人は数も伸ばしてくれました。

    サイズも良型多数上がってくれました!ゲストにはウマヅラハギ、カサゴ、ハナダイなどなど上がってくれました海悪いなかでこれだけ上がってくれたので海落ち着けば今後も期待!』
    • 天気

    • 気温

      18.2度

    • 湿度

      89%

    • 風向

      西南西

    • 風速

      1.4m

    • 気圧

      1012hPa


幸栄丸を予約した人はこんな釣り船も予約しています!

鹿嶋港から出船
清栄丸
(茨城県・鹿嶋旧港)
釣割価格 10,000円/人〜
清栄丸の詳細を見る
鹿島港から出船
大春丸
(茨城県・鹿嶋旧港)
釣割価格 11,000円/人〜
大春丸の詳細を見る
茨城県大洗港から出船
BLUE DRAGON
(茨城県・大洗港)
釣割価格 9,750円/人〜
BLUE DRAGONの詳細を見る
河原子漁港から出船中
見崎丸
(茨城県・河原子港)
釣割価格 8,000円/人〜
見崎丸の詳細を見る
鹿島港より出船
不動丸
(茨城県・鹿嶋旧港)
釣割価格 10,000円/人〜
不動丸の詳細を見る