幸栄丸 (茨城県 - 鹿島灘 - 鹿嶋 - 鹿嶋新港) の公式WEB予約「24時間受付・特別割引・ポイント還元」 加盟釣り船数、釣り船予約実績No.1

お気に入り船に登録するには
会員登録またはログインが必要です

お気に入り船に登録すると
予約プラン検索や最新釣果を
お気に入り船のみの表示にすることができます

幸栄丸 (こうえいまる)

茨城県鹿嶋市  鹿嶋旧港 (かしまきゅうこう)
幸栄丸

この船の釣果一覧へ

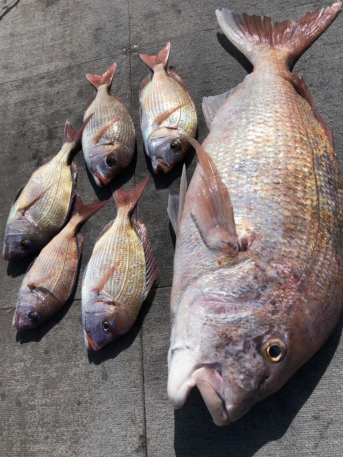
マダイの釣果など2025年10月18日幸栄丸(茨城県/鹿嶋旧港)

  • 中潮

    2025年1018(土)

    マダイ 0.30 - 5.40 kg 0 - 3 匹
    ハナダイ 25 - 35 cm 0 - 8 匹
    コメント
    『今日は昨日までの風によるウネリで釣りにくい状態でしたが大鯛5.4kgGET!!他にも1kg台なども上がりました!

    ゲストにはハナダイもパターン合う人はポツポツと掛かり他にもカサゴなども上がってくれました!海悪いなかでこれだけ上がってくれたので海落ち着けば今後も期待!』
    • 天気

    • 気温

      19.7度

    • 湿度

      81%

    • 風向

      南南西

    • 風速

      2.3m

    • 気圧

      1018hPa


幸栄丸を予約した人はこんな釣り船も予約しています!

鹿島港から出船
大春丸
(茨城県・鹿嶋旧港)
釣割価格 11,000円/人〜
大春丸の詳細を見る
旧鹿島港から出船
利喜丸
(茨城県・鹿嶋旧港)
釣割価格 11,000円/人〜
利喜丸の詳細を見る
鹿嶋港から出船
清栄丸
(茨城県・鹿嶋旧港)
釣割価格 10,000円/人〜
清栄丸の詳細を見る
鹿島港より出船
不動丸
(茨城県・鹿嶋旧港)
釣割価格 10,000円/人〜
不動丸の詳細を見る
那珂湊港より出船
大内丸
(茨城県・那珂湊港)
釣割価格 10,000円/人〜
大内丸の詳細を見る