海正丸 (福岡県 - 玄海 - 宗像近郊 - 神湊港) の公式WEB予約「24時間受付・特別割引・ポイント還元」 加盟釣り船数、釣り船予約実績No.1

お気に入り船に登録するには
会員登録またはログインが必要です

お気に入り船に登録すると
予約プラン検索や最新釣果を
お気に入り船のみの表示にすることができます

海正丸 (かいせいまる)

福岡県宗像市  神湊港 (こうのみなとこう)
海正丸

この船の釣果一覧へ

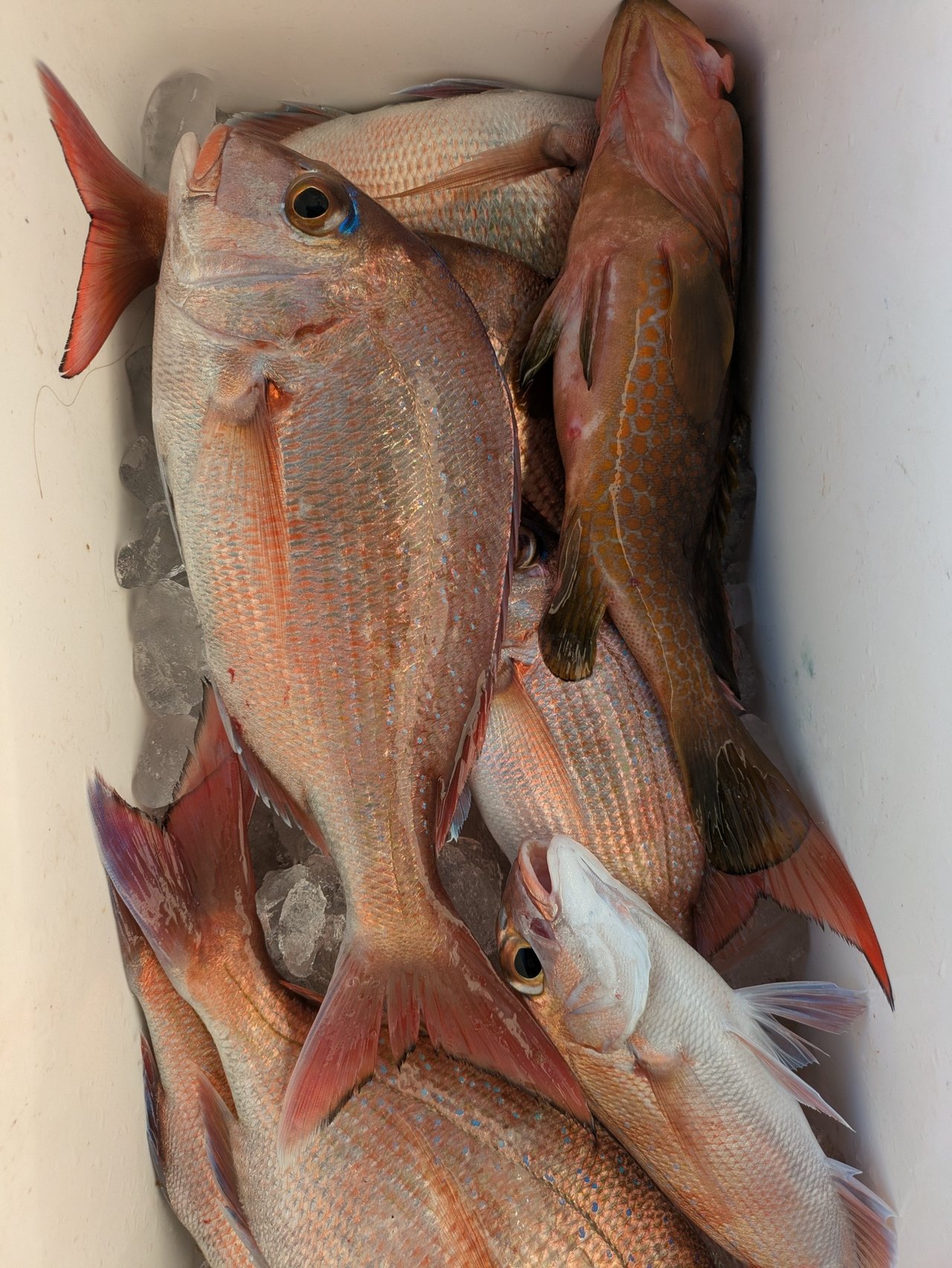
マダイの釣果など2025年11月22日海正丸(福岡県/神湊港)

  • 中潮

    2025年1122(土)

    マダイ 最大 2.00 kg 合計 20 匹
    アコウ 合計 15 匹
    イシダイ 最大 1.00 kg
    コメント
    『タイラバ、ジグに出港。
    朝早くからマダイ2キロ、マダイ全体で20枚、アコウ15枚、帰る時間になってイシダイ1キロ他、いろいろ大漁だった。
    お疲れさんでした。』
    • 天気

    • 気温

      12.5度

    • 湿度

      68%

    • 風向

    • 風速

      1.9m

    • 気圧

      1025hPa


海正丸を予約した人はこんな釣り船も予約しています!

神湊港から出船
成幸丸
(福岡県・神湊港)
釣割価格 15,000円/人〜
成幸丸の詳細を見る
神湊港から出船
明石丸
(福岡県・神湊港)
釣割価格 15,000円/人〜
明石丸の詳細を見る
鐘崎港から出船
福寿丸-地島-
(福岡県・鐘崎漁港)
釣割価格 11,000円/人〜
福寿丸-地島-の詳細を見る
神湊港から出船
第二成幸丸
(福岡県・神湊港)
釣割価格 16,000円/人〜
第二成幸丸の詳細を見る
博多から出船
WAND
(福岡県・福岡アイランドシティ)
釣割価格 6,625円/人〜
WANDの詳細を見る