一郎丸 (神奈川県 - 三浦半島 - 三浦半島南部 - 剣崎間口港) の公式WEB予約「24時間受付・特別割引・ポイント還元」 加盟釣り船数、釣り船予約実績No.1

お気に入り船に登録するには
会員登録またはログインが必要です

お気に入り船に登録すると
予約プラン検索や最新釣果を
お気に入り船のみの表示にすることができます

一郎丸 (いちろうまる)

神奈川県三浦市  間口漁港 (まぐちぎょこう)
一郎丸

この船の釣果一覧へ

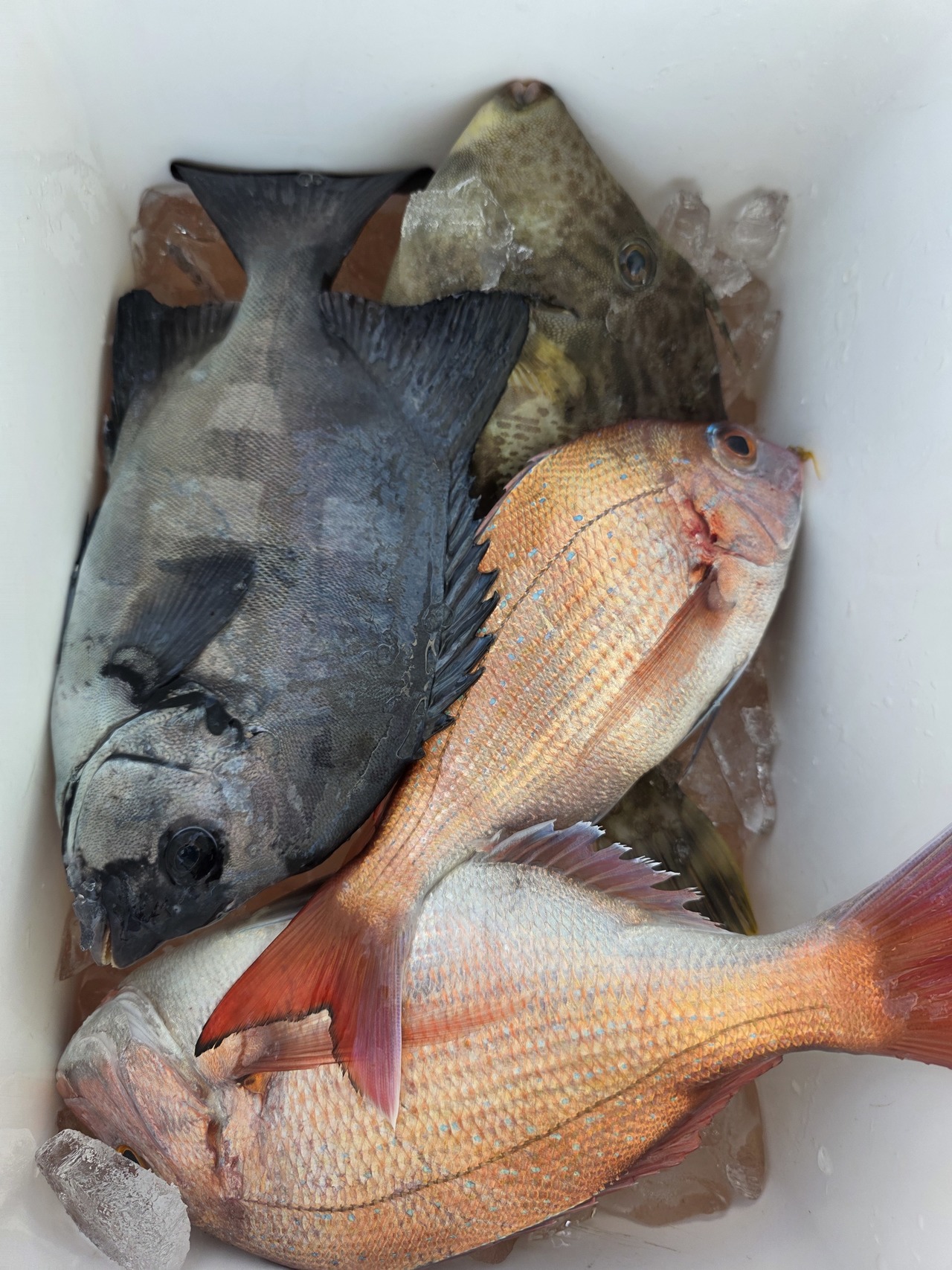
イシダイの釣果など2025年12月4日一郎丸(神奈川県/間口漁港)

  • 大潮

    2025年124(木)

    イシダイ 0.60 - 1.20 kg 0 - 2 匹
    コメント
    『イシダイ五目釣りで出船しました!
    1日当たり多数ゲストでは真鯛やカサゴカワハギなど多数混じりました。』
    • 天気

    • 気温

      7.9度

    • 湿度

      35%

    • 風向

      西

    • 風速

      2.9m

    • 気圧

      1014hPa


一郎丸を予約した人はこんな釣り船も予約しています!

横浜港新山下から出港
打木屋釣船店
(神奈川県・横浜港新山下)
釣割価格 6,500円/人〜
打木屋釣船店の詳細を見る
又信丸
又信丸
(神奈川県・間口漁港)
釣割価格 10,000円/人〜
又信丸の詳細を見る
第八日の出丸
第八日の出丸
(神奈川県・間口漁港)
釣割価格 11,000円/人〜
第八日の出丸の詳細を見る
喜市丸
喜市丸
(神奈川県・間口漁港)
釣割価格 11,000円/人〜
喜市丸の詳細を見る
金沢漁港から出船
仁春丸
(神奈川県・金沢漁港)
釣割価格 7,000円/人〜
仁春丸の詳細を見る