Çß²Ö´Ý (ÀéÍÕ¸© - ³°Ë¼ - ĸ»Ò¡¢¶å½½¶åΤ - ÈÓ²¬¹Á) ¤Î¸ø¼°WEBͽÌó¡Ö24»þ´Ö¼õÉÕ¡¦ÆÃÊ̳ä°ú¡¦¥Ý¥¤¥ó¥È´Ô¸µ¡× ²ÃÌÁÄà¤êÁ¥¿ô¡¢Äà¤êÁ¥Í½Ìó¼ÂÀÓNo.1

¤ªµ¤¤ËÆþ¤êÁ¥¤ËÅÐÏ¿¤¹¤ë¤Ë¤Ï
²ñ°÷ÅÐÏ¿¤Þ¤¿¤Ï¥í¥°¥¤¥ó¤¬É¬ÍפǤ¹

¤ªµ¤¤ËÆþ¤êÁ¥¤ËÅÐÏ¿¤¹¤ë¤È
ͽÌó¥×¥é¥ó¸¡º÷¤äºÇ¿·Äà²Ì¤ò
¤ªµ¤¤ËÆþ¤êÁ¥¤Î¤ß¤Îɽ¼¨¤Ë¤¹¤ë¤³¤È¤¬¤Ç¤­¤Þ¤¹

Çß²Ö´Ý ¡Ê¤Ð¤¤¤«¤Þ¤ë¡Ë

ÀéÍÕ¸©°°»Ô¡¡¡¡ÈÓ²¬µù¹Á ¡Ê¤¤¤¤¤ª¤«¤®¤ç¤³¤¦¡Ë
Çß²Ö´Ý

¤³¤ÎÁ¥¤ÎÄà²Ì°ìÍ÷¤Ø

¥Þ¥À¥¤¤ÎÄà²Ì¤Ê¤É¡Ã2026ǯ1·î17Æü¡ÃÇß²Ö´Ý¡ÊÀéÍÕ¸©/ÈÓ²¬µù¹Á¡Ë

  • ÂçĬ

    2026ǯ1·î17Æü(ÅÚ)

    ¥Þ¥À¥¤ 0.30 - 1.30 kg 0 - 18 ɤ
    ¥³¥á¥ó¥È
    ¡Ø¡ú¡ú¡ú³è¤­¥¨¥Ó¤Ç¤Î°ì¤Ä¥Æ¥ó¥ä¥Þ¥À¥¤Äà¤ê¢ö¡ú¡ú¡ú
    ¡Ê³è¤­³¤Ï·¥¨¥µ¤¬½àÈ÷¤Ç¤­¤Ê¤¤¾ì¹ç¤ÏÎäÅ೤Ϸ¤Ç¤ÎÄà¹Ô¤Ë¤Ê¤ê¤Þ¤¹¡£¡Ë
    ¥¨¥µ¤Ï¡¢¤³¤Á¤é¤Ç½àÈ÷¤·¤Æ¤ª¤ê¤Þ¤¹¡£
    ¥¨¥µ¤ÎÄɲÃÎÁ¶â¤Ï夤¤Æ¤ª¤ê¤Þ¤»¤ó¡£


    ¡ã¥Þ¥À¥¤Á¥¡ä
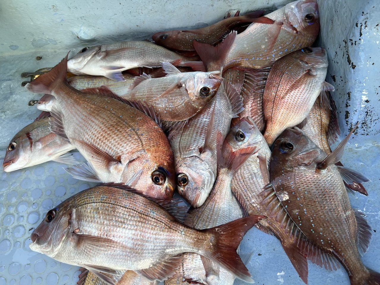
    °ì¤Ä¥Æ¥ó¥ä¤Ç¤Î¥Þ¥À¥¤Äà¤ê¤Ç¤¹¡£TOP18ɤ¡¢2ÈÖ¼ê17ɤ¡£¥¢¥¿¥ê¿¤¯À乥Ĵ¡ª¡ª¡Ä¤È¸À¤¤¤¿¤¤¤È¤³¤í¤Ç¤¹¤¬¡¢¥¢¥¿¥ê¤¬¾®¤µ¤¯¥Ð¥é¤·¤âÌÜΩ¤Á¡¢TOP¤ÎÊý¤¿¤Á¤ÏήÀФΰì¸À¤Ç¤·¤¿¤¬Á´ÂÎŪ¤Ë¸«¤ë¤ÈÆñ¤·¤¤Äà¹Ô¤Ç¤·¤¿¡£È¿±þ¿¤¯¡¢¤·¤Ã¤«¤ê¿ô¤¬¿­¤Ó¤¿Êý¤â¤¤¤¿¤Î¤Ç¡¢³èÀ­¾å¤¬¤ì¤ÐÁ´ÂÎŪ¤Ë¤â¾å¸þ¤¤¤Æ¤¯¤ì¤ë¤Ç¤·¤ç¤¦¢ö
    ³°Æ»¡§¥Ï¥Ê¥À¥¤¡¢¥«¥µ¥´¡¢¥¦¥Þ¥Å¥é¡¢¥«¥ï¥Ï¥®¡¢¥«¥ó¥À¥¤¡¢¥¢¥¤¥Ê¥á¡£


    ¡ö¡ö¡ö¥­¥ã¥Ó¥óÆâ¡¢Å¹Æâ¤Ï¥Þ¥¹¥¯¤Î»ý»²ÃåÍѤò¤´¶¨ÎϤª´ê¤¤Ãפ·¤Þ¤¹¡ö¡ö¡ö

    ¡ãº£¸å¤ÎͽÄê¡ä¡ö¡ö¡ö½¸¹ç»þ´Ö¤Þ¤¨¤Ë¤Ï¤ª±Û¤·¤¯¤À¤µ¤¤¡£
    ¸áÁ°Á¥¡§4»þ30ʬÁ¥½É½¸¹ç¡Ä¥Þ¥À¥¤Á¥¡£
    ¸á¸åÁ¥¡§10»þ30ʬÁ¥½É½¸¹ç¡Ä¥Þ¥À¥¤Á¥¡£
    ÄêµÙÆü¡§Âè2²ÐÍËÆü¡Ê2/10¡Ë
    ¡ÊÅÚ¡¢Æü¡¢½ËÆü¤Ï¡¢ÂߴȤΤªµÒÍÍ¡¢ÂߴȤÎɬÍפʥ°¥ë¡¼¥×ÍͤÏ5ʬÁ°½¸¹ç¤Ç¤ª´ê¤¤Ãפ·¤Þ¤¹¡£¡Ë
    ¡Ê¡ö¾õ¶·¤Ë¤è¤êͽÄ꤬ÊѤï¤ë¤³¤È¤â¤´¤¶¤¤¤Þ¤¹¡£Á°Æü¤Ë³Îǧ¤Î¤ªÅÅÏäò¤ª´ê¤¤Ãפ·¤Þ¤¹¡£¡Ë

    ¡ã¾èÁ¥Ì¾Êí¤Ë¤Ä¤¤¤Æ¡ä
    ­¡¤ªÌ¾Á°¡ÊŽÌŽÙŽÈްŽÑ¡Ë¡¢­¢½»½ê¡¢­£¶ÛµÞÏ¢ÍíÀè¤ÎÅÅÏÃÈֹ桢­¤Ç¯Îð¡¢­¥À­ÊÌ
    ­¡¡Á­¥¤Þ¤Çµ­Æþ¤·²Äǽ¤Ç¤¢¤ì¤Ð¡¢»ý»²¤ª´ê¤¤Ãפ·¤Þ¤¹¡£

    ¡ã¤´Í½Ì󡦤ªÌ䤤¹ç¤ï¤»¤Ï¤³¤Á¤é¤Ø¡ä
    090-2155-0500¡Ê¸áÁ°9¡§00¡Á¸á¸å8¡§00¤Þ¤Ç¡Ë
    ¥­¥ã¥ó¥»¥ë¤Ë¤è¤ê¾¤Î¤ªµÒÍͤؤ´ÌÂÏǤò¤ª¤«¤±¤·¤Æ¤·¤Þ¤¦»ö¤â¤¢¤ê¤Þ¤¹¡£¥­¥ã¥ó¥»¥ë¤Î̵¤¤¤è¤¦¤´Í½Ìó¤ò¤ª´ê¤¤Ãפ·¤Þ¤¹¡£
    ¡Ù
    • Å·µ¤

      À²

    • µ¤²¹

      13.2ÅÙ

    • ¼¾ÅÙ

      62%

    • É÷¸þ

      Åì

    • É÷®

      4.0m

    • µ¤°µ

      1013£èPa


Çִ߲ݤòͽÌó¤·¤¿¿Í¤Ï¤³¤ó¤ÊÄà¤êÁ¥¤âͽÌ󤷤Ƥ¤¤Þ¤¹¡ª


MothershipConnection
(ÀéÍÕ¸©¡¦ÌÚ¹¹ÄŹÁ)
Äà³ä²Á³Ê 6,000±ß/¿Í¡Á
MothershipConnection¤Î¾ÜºÙ¤ò¸«¤ë
ÈÓ²¬¹Á¤«¤é½ÐÁ¥
»°¼¡Ïº´Ý
(ÀéÍÕ¸©¡¦ÈÓ²¬µù¹Á)
Äà³ä²Á³Ê 9,000±ß/¿Í¡Á
»°¼¡Ïº´Ý¤Î¾ÜºÙ¤ò¸«¤ë
ÈÓ²¬¹Á¤«¤é½ÐÁ¥
ŸÞϺ´Ý
(ÀéÍÕ¸©¡¦ÈÓ²¬µù¹Á)
Äà³ä²Á³Ê 10,000±ß/¿Í¡Á
ŸÞϺ´Ý¤Î¾ÜºÙ¤ò¸«¤ë
¾¡»³µù¹Á¤«¤é½ÐÁ¥
ÊõÀ¸´Ý
(ÀéÍÕ¸©¡¦¾¡»³µù¹Á)
Äà³ä²Á³Ê 8,000±ß/¿Í¡Á
ÊõÀ¸´Ý¤Î¾ÜºÙ¤ò¸«¤ë
ÈÓ²¬¹Á¤«¤é½ÐÁ¥
ζ˱´Ý
(ÀéÍÕ¸©¡¦ÈÓ²¬µù¹Á)
Äà³ä²Á³Ê 10,000±ß/¿Í¡Á
ζ˱´Ý¤Î¾ÜºÙ¤ò¸«¤ë