つりエサ豊漁 (福島県 - 福島北部 - 相馬 - 相馬港) の公式WEB予約「24時間受付・特別割引・ポイント還元」 加盟釣り船数、釣り船予約実績No.1

お気に入り船に登録するには
会員登録またはログインが必要です

お気に入り船に登録すると
予約プラン検索や最新釣果を
お気に入り船のみの表示にすることができます

つりエサ豊漁 (つりえさほうりょう)

福島県相馬市  相馬港 (そうまこう)
つりエサ豊漁

この船の釣果一覧へ

メバルの釣果など2026年1月19日つりエサ豊漁(福島県/相馬港)

  • 大潮

    2026年119(月)

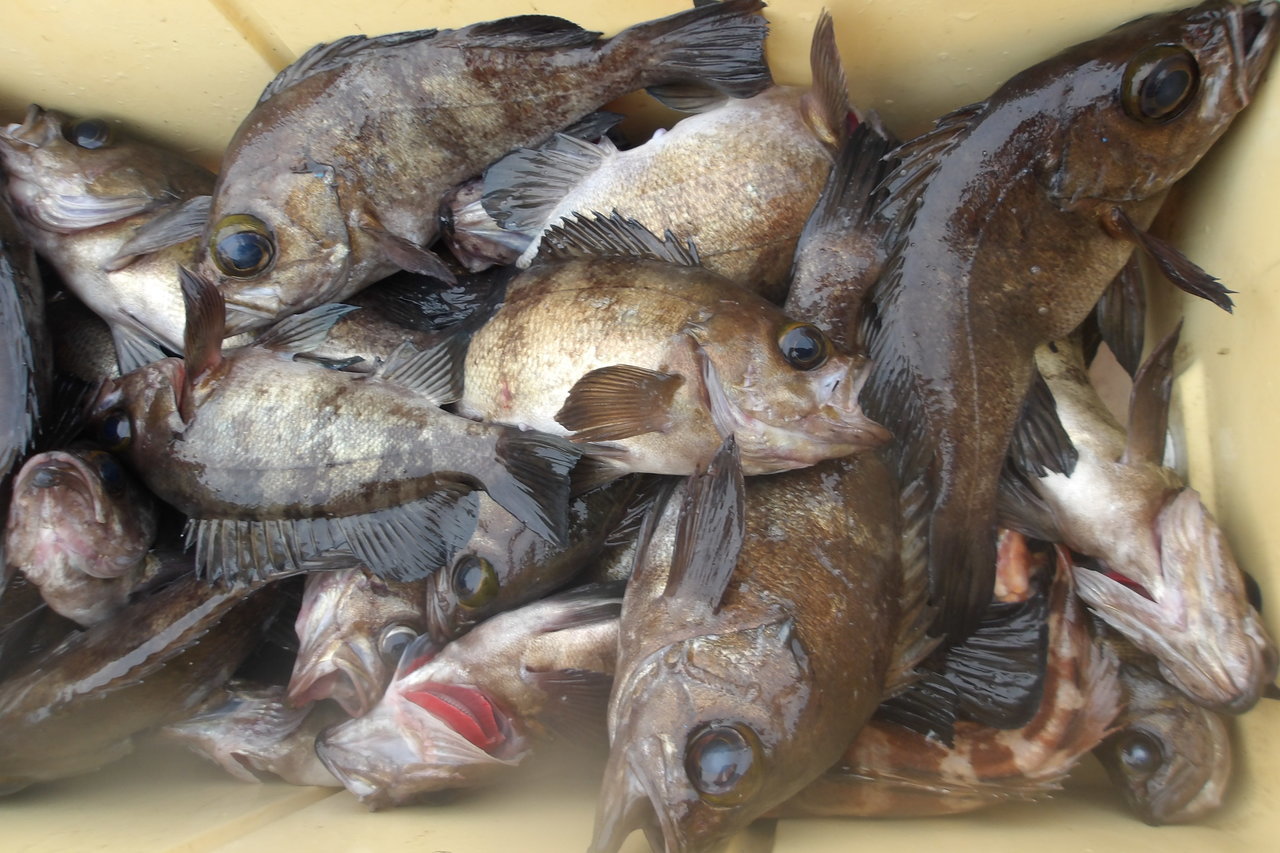
    メバル 20 - 35 cm 3 - 60 匹
    コメント
    『1月19日(月)豊漁丸メバル釣果船釣果報告
    【釣果】
    ・赤・黒メバル20〜35cm(3〜60匹)3匹の方船酔い
    ・マゾイ
    ・イナダ
    ・ウッカリ
    ・アジ
    ・チャリコ
    ・ハナダイ
    【天気】晴
    【水温】11.2〜13.6℃
    【水色】澄
    【コメント】
    今日の豊漁丸は・・・朝一からパタパタとデカメバルが掛かり楽しんでいましたが、明るくなると共にピタリと食い止まり・・・超長い中だるみ〜船長のボヤキも多かったでしょうね〜
    後半はまた一気に食い立ち数を伸ばすことが出来ました。メバル釣り初めてのお客様、スピニングリール&ライトタックルで27匹、尺オーバーお見事です!
    次回はレンタル竿ありますよ〜ご予約の際にお伝え下さい(^_^)
    皆様お疲れさまでした。


    ≪船長から新しいお願い≫
    ・トイレを汚してしまった時は船長まで声を掛けて下さい。じゃないと、次入ったお客さんがビックリします・・・

    ・休憩室のスペースは皆が座れるよう譲り合って下さい。階段付近、出入りに邪魔にならないようお願いします。
    • 天気

    • 気温

      2.5度

    • 湿度

      71%

    • 風向

      東北東

    • 風速

      1.2m

    • 気圧

      1015hPa


つりエサ豊漁を予約した人はこんな釣り船も予約しています!

宮城県塩竈市より出船中
遊漁船ペガサス
(宮城県・中ノ島係留所)
釣割価格 10,000円/人〜
遊漁船ペガサスの詳細を見る
福島県相馬市松川浦漁港から出船
ジガーズ
(福島県・松川浦漁港)
釣割価格 10,000円/人〜
ジガーズの詳細を見る
福島県小名浜港から出船
第二辰紀丸
(福島県・小名浜港)
釣割価格
第二辰紀丸の詳細を見る
閖上漁港から出船
鎌田屋-kamataya-
(宮城県・閖上漁港)
釣割価格 12,500円/人〜
鎌田屋-kamataya-の詳細を見る
小名浜港から出船
新和丸
(福島県・小名浜港)
釣割価格 11,000円/人〜
新和丸の詳細を見る