つりエサ豊漁 (福島県 - 福島北部 - 相馬 - 相馬港) の公式WEB予約「24時間受付・特別割引・ポイント還元」 加盟釣り船数、釣り船予約実績No.1

お気に入り船に登録するには
会員登録またはログインが必要です

お気に入り船に登録すると
予約プラン検索や最新釣果を
お気に入り船のみの表示にすることができます

つりエサ豊漁 (つりえさほうりょう)

福島県相馬市  相馬港 (そうまこう)
つりエサ豊漁

この船の釣果一覧へ

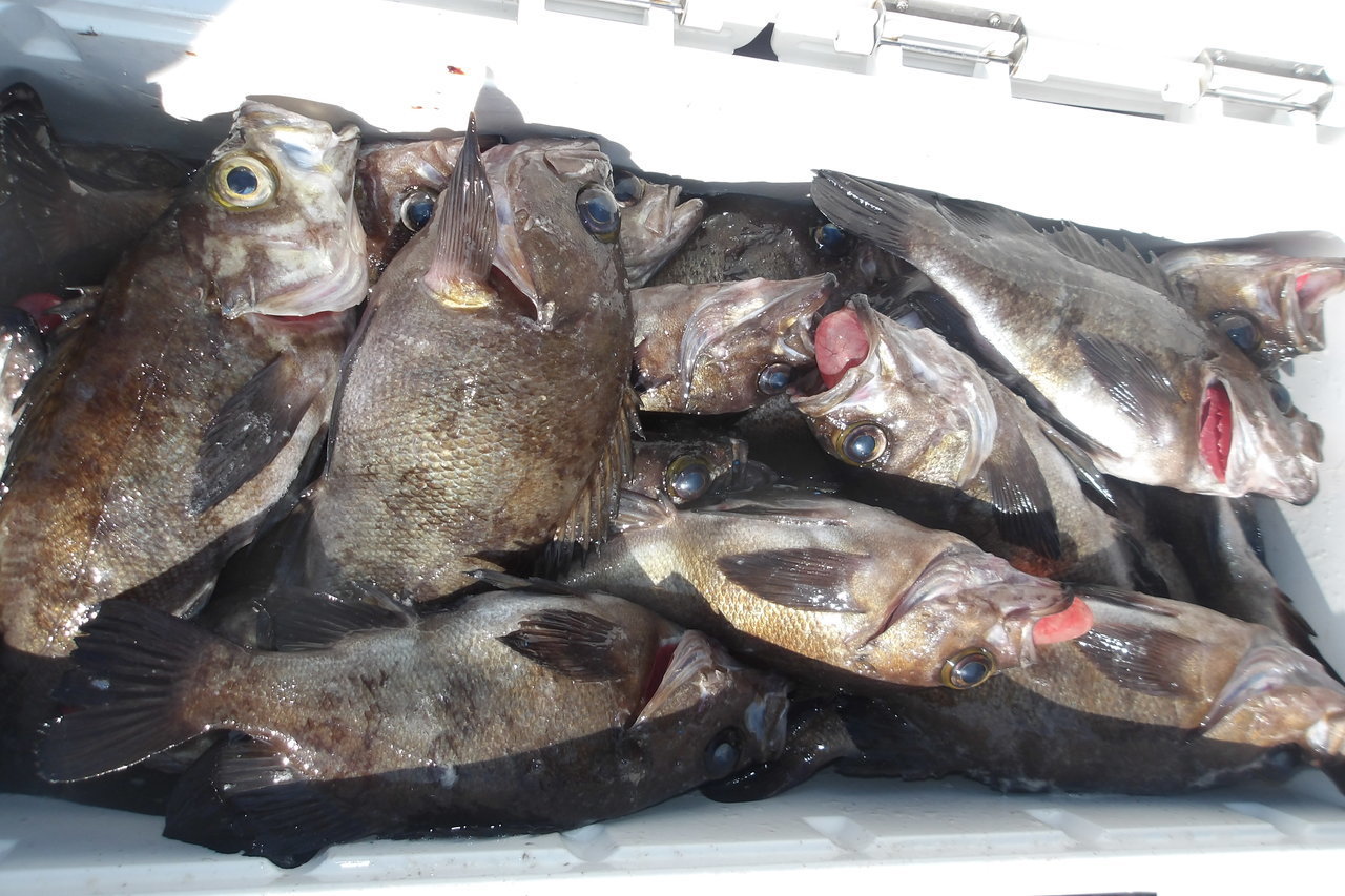
メバルの釣果など2026年3月2日つりエサ豊漁(福島県/相馬港)

  • 大潮

    2026年32(月)

    メバル 22 - 34 cm 20 - 80 匹
    コメント
    『3月2日(月)豊漁丸メバル船釣果報告
    【釣果】
    ・黒メバル22〜34cm(20〜80匹)
    ・ウッカリ
    【天気】晴
    【水温】8.8℃
    【水色】やや濁り
    【コメント】
    今日の豊漁丸は朝から食いが良く『良型〜特大』メバル多数でした
    でも中盤から風波強で苦戦。そこから中々伸びませんでした〜が、
    のんびりとメバル釣りを楽しみました。お客さんが「釣れたよ〜」と言ってくれたので安心。
    皆様お疲れさまでした〜!
    ※メバル釣りの予約、おひとり様でも初心者の方でも、遠慮なく電話下さい。もちろんベテランプロの方もお待ちしております(^_^)人数が少なくても出る場合がありますので。

    付け餌はドジョウ・サバ皮・白魚〜
    オリジナル仕掛けオススメ!当店にあります是非試してみて下さい。

    ≪船長から新しいお願い≫
    ・トイレを汚してしまった時は船長まで声を掛けて下さい。じゃないと、次入ったお客さんがビックリします・・・

    ・休憩室のスペースは皆が座れるよう譲り合って下さい。階段付近、出入りに邪魔にならないようお願いします。
    • 天気

    • 気温

      6.8度

    • 湿度

      55%

    • 風向

      北西

    • 風速

      2.4m

    • 気圧

      1024hPa


つりエサ豊漁を予約した人はこんな釣り船も予約しています!

小名浜港から出船
新和丸
(福島県・小名浜港)
釣割価格 11,000円/人〜
新和丸の詳細を見る
福島県相馬市松川浦漁港から出船
ジガーズ
(福島県・松川浦漁港)
釣割価格 10,000円/人〜
ジガーズの詳細を見る
福島県小名浜港から出船
第二辰紀丸
(福島県・小名浜港)
釣割価格
第二辰紀丸の詳細を見る
閖上漁港から出船
鎌田屋-kamataya-
(宮城県・閖上漁港)
釣割価格 12,500円/人〜
鎌田屋-kamataya-の詳細を見る
宮城県塩竈市より出船中
遊漁船ペガサス
(宮城県・中ノ島係留所)
釣割価格 10,000円/人〜
遊漁船ペガサスの詳細を見る