幸栄丸 (茨城県 - 鹿島灘 - 鹿嶋 - 鹿嶋新港) の公式WEB予約「24時間受付・特別割引・ポイント還元」 加盟釣り船数、釣り船予約実績No.1

お気に入り船に登録するには
会員登録またはログインが必要です

お気に入り船に登録すると
予約プラン検索や最新釣果を
お気に入り船のみの表示にすることができます

幸栄丸 (こうえいまる)

茨城県鹿嶋市  鹿嶋旧港 (かしまきゅうこう)
幸栄丸

この船の釣果一覧へ

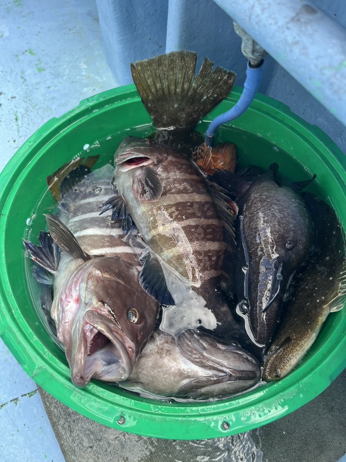
マハタの釣果など2026年3月11日幸栄丸(茨城県/鹿嶋旧港)

  • 小潮

    2026年311(水)

    マハタ 0.50 - 1.50 kg 0 - 2 匹
    ヒラメ 0.60 - 2.70 kg 0 - 10 匹
    コメント
    『北沖30−40m前後を狙いました!

    昨日の時化後だったので心配しましたが、ベイトの反応もしっかり残ってて朝からゲスト多彩に喰い活発♪

    中盤潮怠みで少し喰い落ちましたが、後半またも流れ出すと絶好調にアタリましたね♪

    バラシも多く、まだまだ釣れそうでした!

    ヒラメも規定数到達するくらい釣れましたよー!今日は予約なかったので勿体無かったですねぇ。

    ヒラメ船、マハタ五目船は今月いっぱい分エサありますのでご予約お待ちしております!!』
    • 天気

    • 気温

      4.4度

    • 湿度

      63%

    • 風向

      東北東

    • 風速

      2.1m

    • 気圧

      1024hPa


幸栄丸を予約した人はこんな釣り船も予約しています!

大洗港から出港
健清丸
(茨城県・大洗港)
釣割価格 11,000円/人〜
健清丸の詳細を見る
鹿嶋港から出船
清栄丸
(茨城県・鹿嶋旧港)
釣割価格 10,000円/人〜
清栄丸の詳細を見る
河原子漁港から出船中
見崎丸
(茨城県・河原子港)
釣割価格 8,000円/人〜
見崎丸の詳細を見る
鹿島港より出船
不動丸
(茨城県・鹿嶋旧港)
釣割価格 10,000円/人〜
不動丸の詳細を見る
鹿島港から出船
大春丸
(茨城県・鹿嶋旧港)
釣割価格 11,000円/人〜
大春丸の詳細を見る