としかず釣船 (愛知県 - 知多半島 - 南知多 - 田尻港(愛知)) の公式WEB予約「24時間受付・特別割引・ポイント還元」
加盟釣り船数、船釣り予約実績No.1
お気に入り船に登録するには
会員登録またはログインが必要です
お気に入り船に登録すると
予約プラン検索や最新釣果を
お気に入り船のみの表示にすることができます
としかず釣船 (としかずつりぶね) |
|
愛知県知多郡南知多町 新師崎港 (しんもろざきこう)
|
 |
すべて|写真あり|写真なし |
20件 中 1〜 20件表示 | 1 全1ページ |

-
中潮
2025年11月7日(金)

つたのさんら

晴


-
大潮
2025年11月6日(木)

奥村さんメンバー

晴


-
大潮
2025年11月4日(火)

近藤さんメンバー

曇


-
中潮
2025年11月2日(日)

吉村さんメンバーら

曇


-
若潮
2025年10月31日(金)

沖田さんメンバー

曇


-
長潮
2025年10月30日(木)

小川さんメンバー

晴


-
中潮
2025年10月25日(土)

宮倉さんメンバー

曇


-
大潮
2025年10月21日(火)

沢田さんら

曇

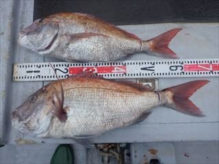
『11・12日の釣果です。
』