第二新亀丸 (千葉県 - 外房 - 銚子、九十九里 - 片貝新港) の公式WEB予約「24時間受付・特別割引・ポイント還元」
加盟釣り船数、船釣り予約実績No.1
お気に入り船に登録するには
会員登録またはログインが必要です
お気に入り船に登録すると
予約プラン検索や最新釣果を
お気に入り船のみの表示にすることができます
第二新亀丸 (だいにしんかめまる) |
|
千葉県山武市 新片貝港 (しんかたかいこう)
|
 |
すべて|写真あり|写真なし |
13件 中 1〜 13件表示 | 1 全1ページ |

-
大潮
2025年11月18日(火)
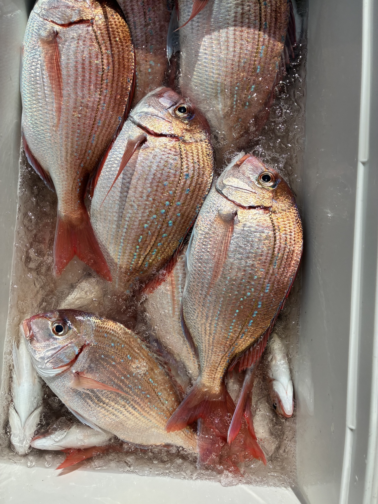
片貝沖30m大型花鯛狙う

| ハナダイ |
22 - 36 cm |
10 - 28 匹 |
|
|
|
|
|
|

曇


-
中潮
2025年11月17日(月)
片貝沖30m大型花鯛狙う


晴


-
中潮
2025年11月16日(日)
片貝沖30m大型花鯛狙う

| ハナダイ |
20 - 39 cm |
15 - 37 匹 |
|
|
|
|
|
|

晴


-
若潮
2025年11月15日(土)
片貝沖30m大型花鯛狙う


晴


-
小潮
2025年11月12日(水)
片貝沖30m大型花鯛狙う


晴


-
中潮
2025年11月10日(月)
片貝沖30m大型花鯛狙う


曇


-
中潮
2025年11月8日(土)
片貝沖30m大型花鯛か


晴


-
大潮
2025年11月5日(水)
片貝沖30m花鯛狙う

| ハナダイ |
20 - 36 cm |
10 - 27 匹 |
|
|
|
|
|
|

曇


-
大潮
2025年11月4日(火)
片貝沖30m花鯛五目出船


晴


-
中潮
2025年11月2日(日)
片貝沖30m花鯛五目出船


曇


-
小潮
2025年10月27日(月)
片貝沖30m花鯛五目出船


曇


-
中潮
2025年10月25日(土)
片貝沖30m花鯛五目出船


雨


-
中潮
2025年10月23日(木)
片貝沖30m花鯛五目出船


曇

すべて|写真あり|写真なし |
13件 中 1〜 13件表示 | 1 全1ページ |
『潮濁り水温安定して大型花鯛混じってポツ…
』