第二新亀丸 (千葉県 - 外房 - 銚子、九十九里 - 片貝新港) の公式WEB予約「24時間受付・特別割引・ポイント還元」 加盟釣り船数、釣り船予約実績No.1

お気に入り船に登録するには
会員登録またはログインが必要です

お気に入り船に登録すると
予約プラン検索や最新釣果を
お気に入り船のみの表示にすることができます

第二新亀丸 (だいにしんかめまる)

千葉県山武市  新片貝港 (しんかたかいこう)
第二新亀丸

この船の釣果一覧へ

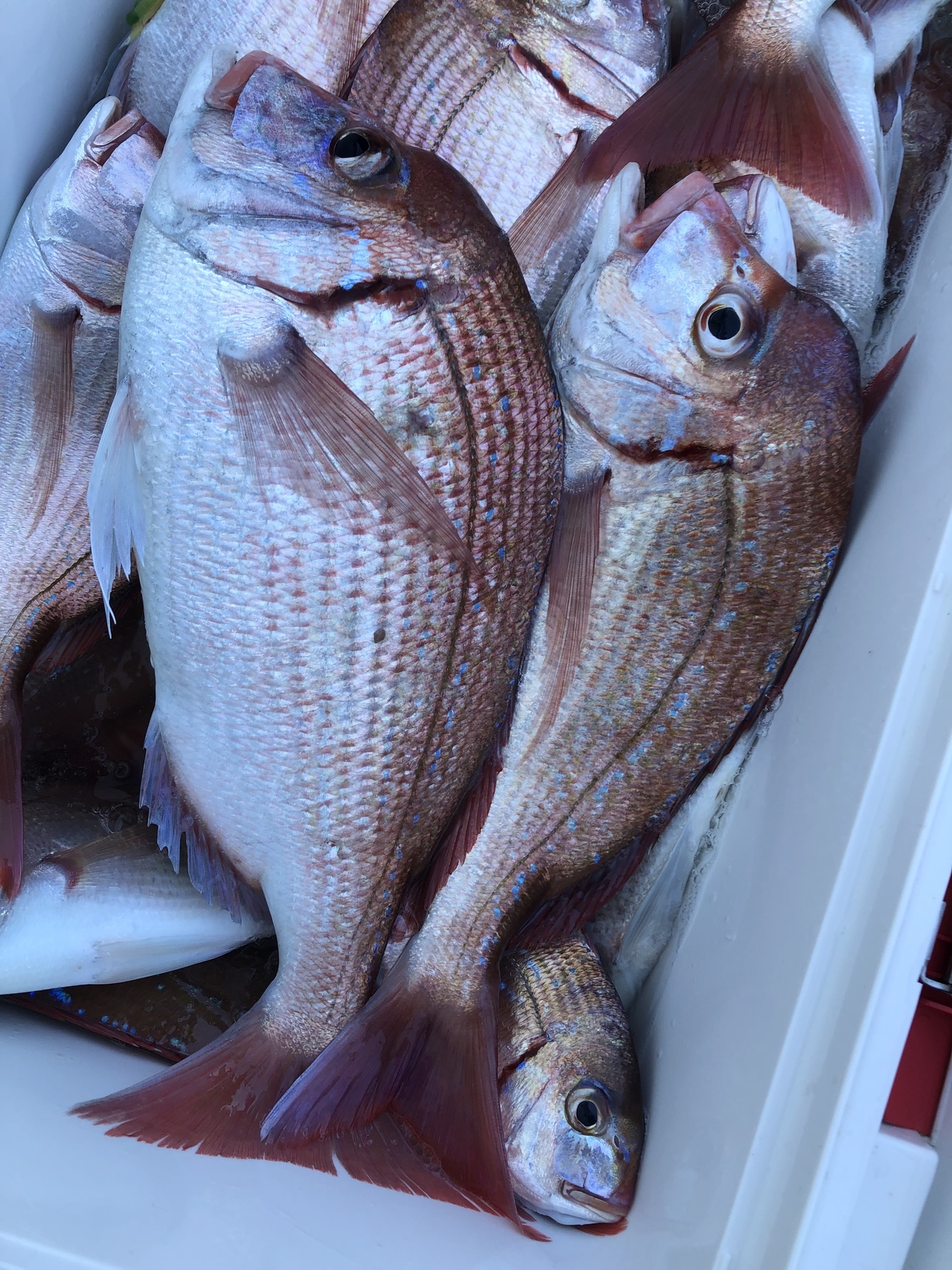
ハナダイの釣果など2025年12月7日第二新亀丸(千葉県/新片貝港)

  • 中潮

    2025年127(日)

    ハナダイ 20 - 38 cm 20 - 50 匹
    ヒラメ 0.50 - 1.80 kg 合計 5 匹
    • 釣り場

      片貝沖30m大型花鯛ヒラメ狙う

    コメント
    『潮濁り水温安定して大型花鯛混じって釣れヒラメ混じる』
    • 天気

    • 気温

      9.8度

    • 湿度

      62%

    • 風向

      北西

    • 風速

      2.4m

    • 気圧

      1018hPa


第二新亀丸を予約した人はこんな釣り船も予約しています!

第1二三丸
第1二三丸
(千葉県・片貝旧港)
釣割価格 11,250円/人〜
第1二三丸の詳細を見る
上総湊港から出船
彦次郎丸
(千葉県・上総湊港)
釣割価格 8,500円/人〜
彦次郎丸の詳細を見る
片貝旧港から出船
幸辰丸
(千葉県・片貝旧港)
釣割価格 12,000円/人〜
幸辰丸の詳細を見る
上総湊港より出船
加平丸
(千葉県・上総湊港)
釣割価格 8,437円/人〜
加平丸の詳細を見る
片貝旧港から出船
第三孝徳丸
(千葉県・片貝旧港)
釣割価格 12,000円/人〜
第三孝徳丸の詳細を見る