としかず釣船 (愛知県 - 知多半島 - 南知多 - 田尻港(愛知)) の公式WEB予約「24時間受付・特別割引・ポイント還元」 加盟釣り船数、釣り船予約実績No.1

お気に入り船に登録するには
会員登録またはログインが必要です

お気に入り船に登録すると
予約プラン検索や最新釣果を
お気に入り船のみの表示にすることができます

としかず釣船 (としかずつりぶね)

愛知県知多郡南知多町  新師崎港 (しんもろざきこう)
としかず釣船

この船の釣果一覧へ

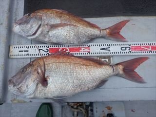
マダイの釣果など2026年3月26日としかず釣船(愛知県/新師崎港)

  • 小潮

    2026年326(木)

    マダイ
    コメント
    『チャーター便・バラシも有りましたが良型真鯛も入りました(^^♪』
    • 天気

    • 気温

      13.4度

    • 湿度

      72%

    • 風向

      西北西

    • 風速

      3.6m

    • 気圧

      1010hPa


としかず釣船を予約した人はこんな釣り船も予約しています!

師崎港から出船
松新丸
(愛知県・片名漁港)
釣割価格 11,000円/人〜
松新丸の詳細を見る
優誠丸
優誠丸
(愛知県・片名漁港)
釣割価格 11,666円/人〜
優誠丸の詳細を見る
正将丸
正将丸
(愛知県・大井漁港)
釣割価格 10,000円/人〜
正将丸の詳細を見る
片名漁港から出船
満栄丸
(愛知県・片名漁港)
釣割価格 14,500円/人〜
満栄丸の詳細を見る
石鏡漁港から出船
三幸丸
(三重県・石鏡漁港)
釣割価格 10,000円/人〜
三幸丸の詳細を見る